FANTASTISCHER BUNGALOW MIT WEITBLICK: Balingen

Beschreibung

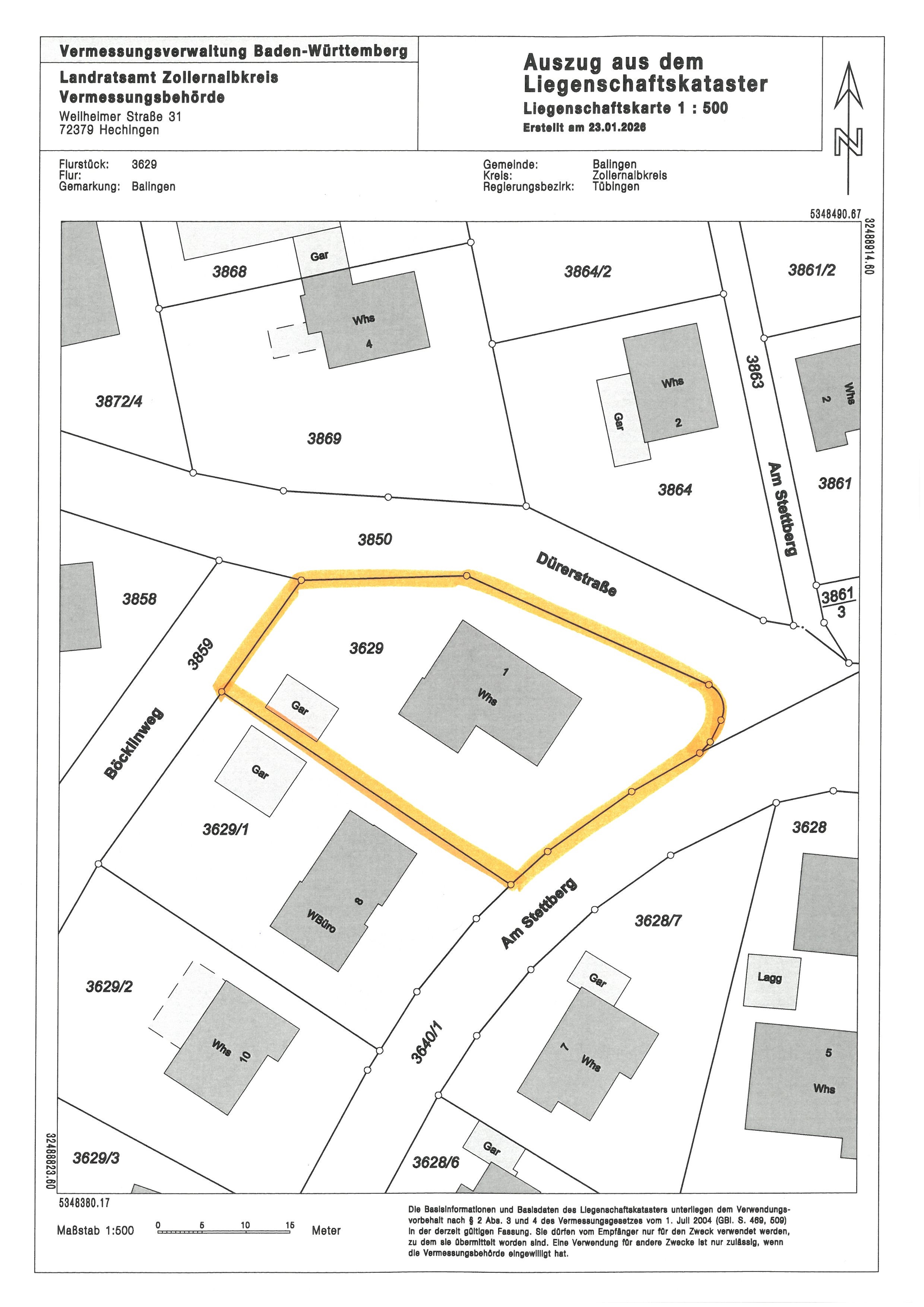
Entdecken Sie diesen charmanten Winkelbungalow in wunderbarer Lage. Mit einer Wohnfläche von 170 m² auf einem großzügigen Grundstück von 1.164 m² bietet dieses Haus viel Platz für die ganze Familie.

Im EG betreten Sie über einen Windfang eine großzügige Diele mit einem schönen Steinboden. Auf dieser Etage befinden sich neben 4 Zimmern eine große Wohnküche mit Speisekammer, sowie ein helles Tageslichtbad mit Dusche und Badewanne.
Vom Wohnzimmer und vom Esszimmer aus gelangen Sie direkt auf die große Süd-West-Terrasse.

Das Schlafzimmer, sowie das Kinderzimmer verfügen über einen Zugang zum separaten Balkon mit schöner Aussicht bis zur Burg Hohenzollern.

Eine Einliegerwohnung, Gästebereich oder für die Kinder, bieten die beiden Zimmer und das separate WC im Untergeschoss.
Die große Garage, Kellerräume, Heizräume und die Waschküche bieten weiteren Stauraum.

Das Dachgeschoss dient als Bühnenraum, welches sich jederzeit zum Ausbau für weiteren Wohnraum nutzen lässt.

Das Haus ist renovierungsbedürftig ( teilweise sanierungsbedürftig), aber mit etwas Liebe und Einsatz können Sie es in Ihr Traumhaus verwandeln. Die Ausstattung mit Natursteinfliesen, Parkett und großen Fensterflächen bietet eine gute Basis für Ihre persönlichen Wünsche und Ideen.

Ausstattung

– Natursteinboden/Parkett
– Öl-Zentralheizung (1992)
– Holzrahmenfenster
– offener Kamin (1991)
– 1 große Garage im Haus
– 1 separate Garage

Lage

Das Haus wurde 1965 in massiver Bauweise auf dem großen Grundstück erstellt.
Es steht im beliebten Wohngebiert “ Am Stettberg“ und vereint die Nähe zur Stadt ebenso wie die Ruhe und Nähe zur Natur.

Sonstiges

Wir weisen darauf hin, dass wir mit einer KI Bildbearbeitung arbeiten zur vereinfachten Darstellung und zum Schutz der Privatsphäre der Bewohner.

Provision / Hinweise

Zuzüglich zum Kaufpreis sind folgende Nebenkosten vom Käufer zu entrichten: Grunderwerbsteuer 5%, Notargebühren ca. 2% und Maklergebühren 3,57% inkl. der gesetzlichen Mehrwertsteuer. Bei Kaufpreis unter 100.000,- Euro beträgt die Maklergebühr pauschal 3.570,- Euro inkl. der gesetzlichen Mehrwertsteuer.

Interesse an dieser Immobilie?

Kontaktieren Sie uns für weitere Informationen oder eine Besichtigung.

Cookie Consent mit Real Cookie Banner