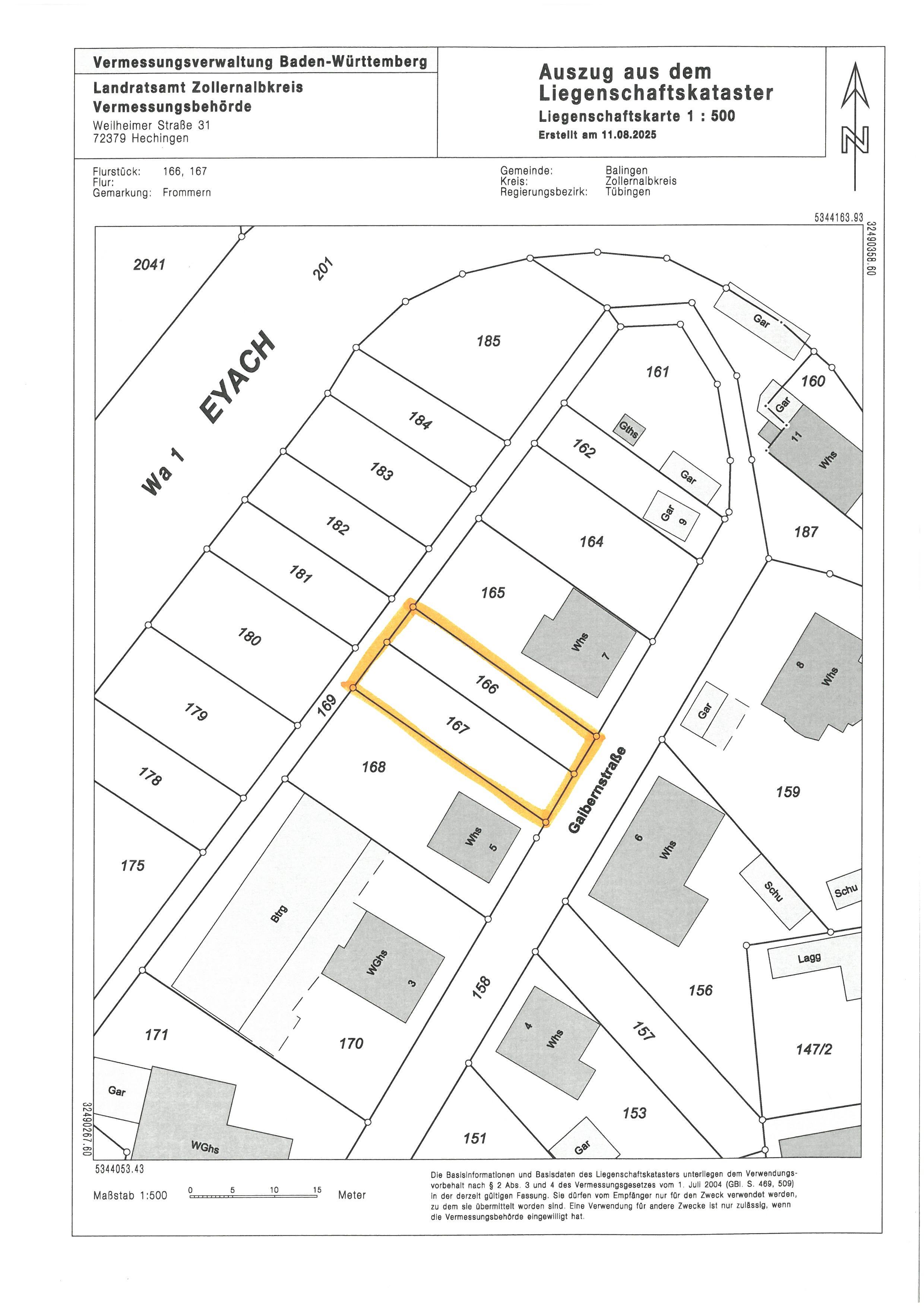
NEUBAU IM WOHNGEBIET: Grundstück in Frommern

Beschreibung

Das ebene Grundstück in herrlicher Lage hat eine Größe von 325 m² und ist teilerschlossen.

Eine Baugenehmigung für den gezeigten Entwurf liegt bereits vor, es gibt keinen Bauzwang.

Die Planung besteht für ein Einfamilienhaus mit ca. 138 m² Wohnfläche, davon im EG 78 m² und im OG 60 m², 5 Zimmern und Teilunterkellerung.

Lage

Auf einem sonnigen Grundstück in Balingen-Frommern befindet sich der Bauplatz in einem ruhigen Wohngebiet.

Frommern bietet alles für den alltäglichen Bedarf mit Schulen, Kindergarten, Einkaufsläden und Apotheke. Balingen ist 5 Fahrminuten entfernt.

Provision / Hinweise

Zuzüglich zum Kaufpreis sind folgende Nebenkosten vom Käufer zu entrichten: Grunderwerbsteuer (5%), Notargebühren (ca. 2%) und Maklergebühren (pauschal € 3.000 + die gesetzliche Mehrwertsteuer).

Interesse an dieser Immobilie?

Kontaktieren Sie uns für weitere Informationen oder eine Besichtigung.

Cookie Consent mit Real Cookie Banner