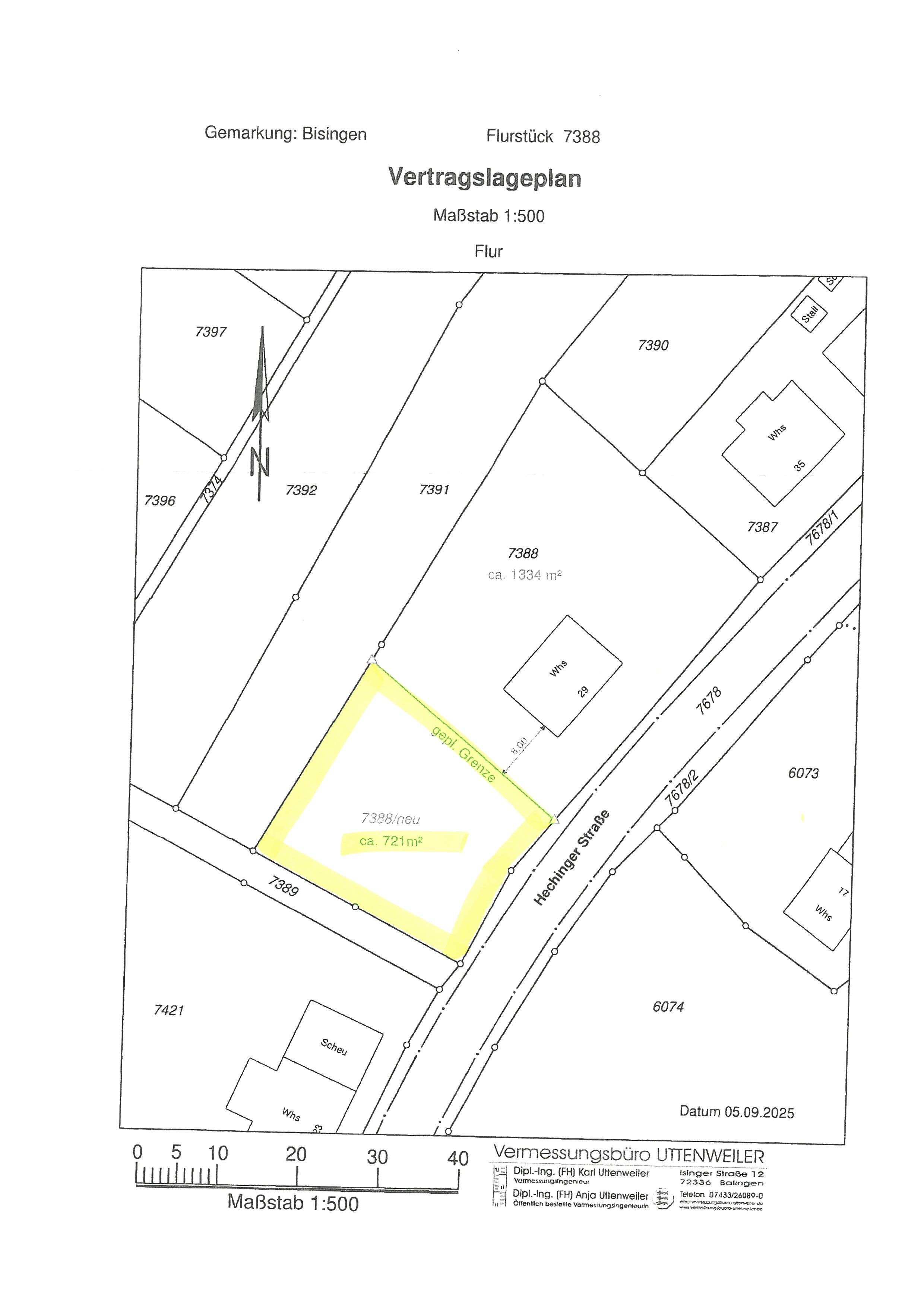
TRÄUME VERWIRKLICHEN: Bauplatz in Bisingen

Beschreibung

Der Bauplatz liegt im ruhigen Mischgebiet von Bisingen und ist ohne Bauzwang.

Die Bebaubarkeit sieht ein 2-geschossiges Wohnhaus mit Satteldach (Dachneigung zwischen 38-48 Grad) vor.

Provision / Hinweise

Zuzüglich zum Kaufpreis sind folgende Nebenkosten vom Käufer zu entrichten: Grunderwerbsteuer 5%, Notargebühren ca. 2% und Maklergebühren 3,57% inkl. der gesetzlichen Mehrwertsteuer. Bei Kaufpreis unter 100.000,- Euro beträgt die Maklergebühr pauschal 3.570,- Euro inkl. der gesetzlichen Mehrwertsteuer.

Interesse an dieser Immobilie?

Kontaktieren Sie uns für weitere Informationen oder eine Besichtigung.

Cookie Consent mit Real Cookie Banner